REQUEST A TOUR If you would like to see this home without being there in person, select the "Virtual Tour" option and your agent will contact you to discuss available opportunities.
In-PersonVirtual Tour

Listed by Terrance Murray • Dalamar Real Estate Services, LLC
$ 88,000
Est. payment /mo
Pending
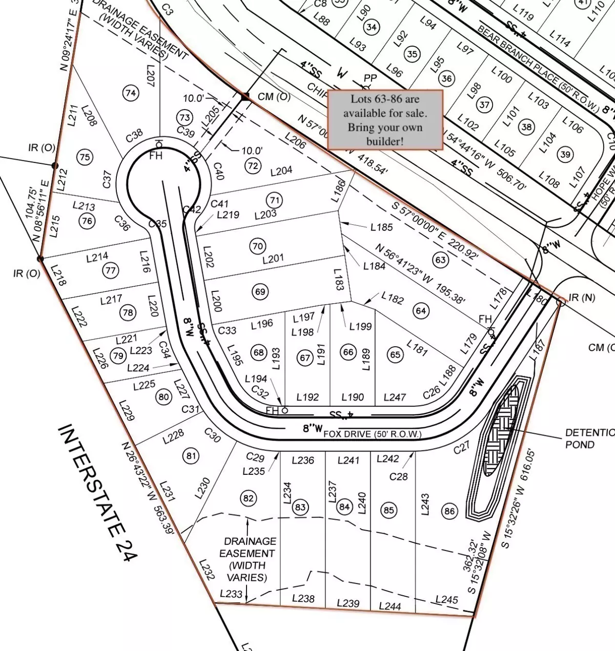
0 Fox Drive Joelton, TN 37080
0.5 Acres Lot
UPDATED:
Key Details
Property Type Vacant Land
Listing Status Pending
Purchase Type For Sale
Subdivision New Hope Estates
MLS Listing ID 2538178
HOA Fees $50/mo
HOA Y/N Yes
Annual Tax Amount $1
Lot Size 0.500 Acres
Acres 0.5
Property Description
Location, Location, Location. Lot backs up to open green space & is one of the largest in the community! Bring your own builder! Have you been looking to build within a community, but cannot find a builder willing to take on or design exactly what it is that you want? Look no further than one of the many lots in New Hope Estates. We have several different lots available for sale that offer scenic views of the rolling hills of Tennessee. Don't miss out on this unique opportunity to create your dream home, located less than 20 mins to Downtown Nashville.
Location
State TN
County Cheatham County
Zoning RS
Interior
Fireplace N
Exterior
View Y/N false
Private Pool false
Building
Lot Description Level, Rolling Slope
Schools
Elementary Schools East Cheatham Elementary
Middle Schools Sycamore Middle School
High Schools Cheatham Co Central
Others
Special Listing Condition Standard

© 2025 Listings courtesy of RealTrac as distributed by MLS GRID. All Rights Reserved.


